Local Service Overview

Get Red Ant Extermination in Fort Worth, TX

Red Ant Extermination services help property owners in Fort Worth, TX, and nearby areas address pest infestations, rodent control, and prevention projects.

Fort Worth, TX

Red ant extermination services are essential for property owners in Fort Worth, TX seeking to maintain a safe and comfortable living or working environment. These pests can invade homes and businesses, causing discomfort and potential damage to structures and belongings. Professional extermination helps eliminate existing infestations and prevents future ones, contributing to a more functional and enjoyable space.

Choosing expert pest control providers offers benefits such as enhanced durability of property features, reduced need for ongoing maintenance, and improved curb appeal. A pest-free property not only looks better but also supports a sense of safety and peace of mind. Engaging experienced professionals ensures that ant problems are addressed effectively, allowing property owners to focus on other priorities with confidence.

Get Red Ant Extermination Quotes

  • Red ant extermination services are recommended when infestations threaten home or property safety in Fort Worth, TX and surrounding areas.
  • Professional pest control providers can address red ant problems in residential lawns and commercial landscapes.
  • Experts are available to eliminate red ant colonies in outdoor spaces such as gardens, parks, and recreational areas nearby.
  • Red ant treatment services are suitable for preventing future invasions in areas prone to recurring infestations.
  • Contact local exterminators to develop a targeted plan for red ant removal in affected properties across the region.

Get Red Ant Extermination Quotes

Red Ant Extermination
Red Ant Extermination
Red Ant Extermination

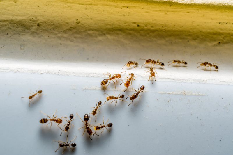
Red ant extermination services are designed to eliminate and control red ant populations on residential, commercial, and industrial properties. These services typically involve identifying the ant colonies, locating their nests, and applying targeted treatments to eradicate the pests effectively. Many providers utilize specialized insecticides and baiting systems to ensure that the ants are not only removed but also prevented from returning. The goal is to reduce the nuisance caused by these insects and to protect the property from potential damage or infestation.

Red ants can cause a variety of problems for property owners. Their aggressive nature and painful stings pose health concerns, especially for households with children or individuals allergic to insect bites. Additionally, red ants tend to establish large colonies that can invade outdoor spaces, gardens, and even indoor areas, creating unsanitary conditions. In some cases, red ants may damage electrical wiring or structures, leading to costly repairs. Extermination services help address these issues by removing the colonies and implementing ongoing pest management strategies.

Properties that commonly utilize red ant extermination services include single-family homes, apartment complexes, commercial buildings, and outdoor recreational areas. Residential properties often seek treatment to protect family members and pets from bites and stings. Commercial properties, such as restaurants, grocery stores, and warehouses, require pest control to maintain hygiene standards and comply with health regulations. Outdoor spaces like parks, playgrounds, and landscaped areas also benefit from regular pest management to keep these environments safe and enjoyable for visitors.

Professional red ant extermination services provide tailored solutions based on the severity of the infestation and the specific property type. Local pest control providers assess the extent of the problem, identify critical nesting sites, and recommend appropriate treatment plans. These services aim to reduce ant populations efficiently while minimizing disruption to daily activities. Contacting a local pest control specialist can help property owners find effective, customized solutions to manage and prevent red ant problems.

The overview below groups typical Red Ant Extermination projects into broad ranges so you can see how smaller, mid-sized, and larger jobs often compare in Fort Worth, TX.

In many markets, a large share of routine jobs stays in the lower and middle ranges, while only a smaller percentage of projects moves into the highest bands when the work is more complex or site conditions are harder than average.

Initial Inspection - The cost for a comprehensive inspection of pest activity typically ranges from $100 to $300, depending on property size and severity. Larger properties or extensive infestations may incur higher fees. This service helps identify the extent of the problem for local extermination pros.

Basic Pest Treatment - Standard treatments for common pests like ants or spiders usually cost between $150 and $400. Prices vary based on the size of the area and the type of pest involved. Local service providers can tailor treatments to specific pest issues.

Specialized Extermination - Exterminating more complex pests such as termites or bed bugs often ranges from $500 to $2,500. The cost depends on infestation size, treatment method, and property size. Pros may recommend multiple visits or advanced techniques, affecting the final price.

Follow-up Services - Follow-up treatments typically cost between $100 and $300 per visit. These are recommended to ensure pests are fully eradicated and may be necessary for persistent infestations. Local pros can provide ongoing monitoring and maintenance options.

Actual totals will depend on details like access to the work area, the scope of the project, and the materials selected, so use these as general starting points rather than exact figures.

Get a Red Ant Extermination Quote

Ant Extermination - Local pest control providers offer specialized treatments to eliminate red ants and prevent future infestations in residential and commercial properties.

Carpenter Ant Removal - Service providers utilize targeted methods to identify and remove carpenter ants that can cause structural damage.

Fire Ant Control - Local experts implement effective solutions to reduce fire ant populations and minimize their nuisance and bite risks.

Pavement Ant Eradication - Pros provide treatments to eliminate pavement ants that often invade cracks and crevices in outdoor surfaces.

Sugar Ant Management - Local pest control specialists address sugar ant issues by identifying entry points and applying appropriate treatments.

Black Ant Control - Service providers use proven techniques to control black ant populations and prevent re-infestation around properties.

Red Ant Extermination

When selecting a professional for Red Ant Extermination services, it’s important to consider their experience in handling ant infestations specific to residential properties. Homeowners should inquire about the number of years a local contractor has been providing pest control solutions, as well as their familiarity with the types of ants common in the Fort Worth area. An experienced service provider will typically have a comprehensive understanding of ant behaviors and effective treatment methods, which can contribute to more reliable results.

Clear communication and well-defined expectations are essential when working with pest control professionals. Reputable local contractors will be transparent about the scope of their services, the methods they use, and any preparations or follow-up treatments that might be necessary. It’s advisable to ask for detailed explanations of their process and to ensure that they provide written information regarding what homeowners can expect throughout the treatment, including potential impacts and follow-up steps.

Reputable references and a history of positive feedback can help gauge the reliability of local pros offering Red Ant Extermination services. Homeowners should consider seeking recommendations from neighbors or reading reviews to understand the experiences of others in the community. Good communication is also a key indicator of professionalism; service providers who are responsive and willing to answer questions thoroughly tend to be more dependable. Remember, this source introduces local options and does not perform the work directly, so it’s important to evaluate and select the right local contractor based on these criteria.

Get a Red Ant Extermination Quote

Property owners in Fort Worth, TX use Red Ant Extermination services for practical projects around their homes and businesses. The sections below highlight everyday jobs and straightforward project options.

Red Ant Extermination
Red Ant Extermination

Red ant extermination services are often sought by property owners in Fort Worth, TX who notice persistent ant activity around their homes or businesses. These pests can invade indoor spaces, especially during warmer months, and may be attracted to food, water sources, or clutter. Property owners may look for professional assistance to effectively eliminate ant colonies and prevent future infestations, ensuring a comfortable and pest-free environment.

In addition to indoor concerns, outdoor areas such as gardens, lawns, and patios can also become targets for red ant invasions. Property owners might seek expert services to address these issues promptly, particularly if ant mounds or trails are disrupting outdoor activities or causing damage to landscaping. Professional exterminators can help manage the problem efficiently, reducing the risk of recurring ant issues in residential or commercial properties.

Get a Red Ant Extermination Quote

What causes red ants to invade homes? Red ants are attracted to food sources, moisture, and shelter around homes, leading them to invade indoor and outdoor spaces seeking these resources.

How can I identify a red ant infestation? Red ants are typically small, with reddish bodies, and may form visible trails or mounds near the foundation, gardens, or other outdoor areas.

Are red ant extermination services safe for pets and children? Professional extermination services use methods designed to minimize risks, but it’s recommended to follow any specific safety instructions provided by the service provider.

How long does red ant treatment usually take? Treatment duration varies depending on the extent of the infestation and the methods used, with most services aiming for effective control in a single visit.

What steps can I take to prevent red ants from returning? Maintaining clean, dry surroundings, sealing entry points, and removing food debris can help reduce the likelihood of red ant re-infestation after treatment.

Red Ant Extermination Services - Local pest control providers offer specialized treatments to eliminate red ant infestations effectively.

Inspection and Identification - Pros can assess property conditions to identify ant nesting sites and determine the best extermination approach.

Barrier and Bait Treatments - Service providers utilize targeted barriers and bait options to control and prevent future red ant activity.

Ongoing Prevention Strategies - Local experts can recommend and implement measures to reduce the likelihood of red ant re-infestation over time.

Red Ant Extermination

Considering Red Ant Extermination for a property in Fort Worth, TX? The sections above highlight common project types, practical options, and details that often shape the scope of work.

When you are ready, use the quote form to share a few details about your project. Local pros can review the basics and respond with options that match what you have in mind.

Get a Red Ant Extermination Quote

Red Ant Extermination Quotes

Our Trusted Partners
Cantu Pest Control
Orkin
Hawx Pest Control