Local Service Overview

Get Ants Extermination Service in Duncanville, TX

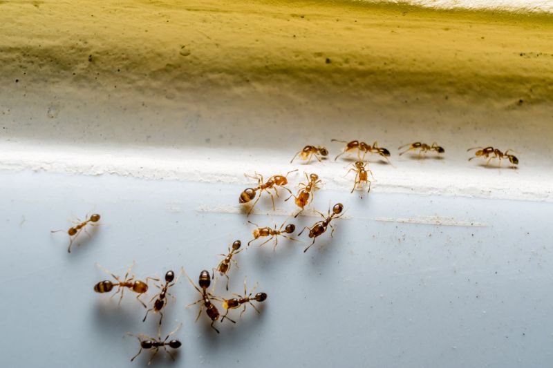
Ants extermination services for Duncanville, TX, and nearby areas address ant infestations and prevent future outbreaks through targeted treatments for residential and commercial properties.

Duncanville, TX

Ants extermination services are essential for property owners in Duncanville, TX seeking to maintain a comfortable and safe living environment. Effective pest control helps prevent ant infestations that can compromise the functionality of a home or business, reducing the likelihood of damage to structures or stored belongings. By addressing ant problems promptly, property owners can enjoy a more durable and reliable property, minimizing ongoing maintenance and avoiding the inconvenience of recurring issues.

In addition to safety and functionality, professional ant extermination can enhance curb appeal by ensuring outdoor spaces and entry points remain free of pests. This not only contributes to a cleaner, more inviting appearance but also helps preserve the property's overall value. Engaging experienced service providers ensures that treatments are thorough and tailored to specific needs, offering peace of mind and long-lasting results.

Get Ants Extermination Service Quotes

  • Ants Extermination Services - individuals experiencing persistent ant infestations in residential or commercial properties can benefit from professional extermination solutions.
  • Ants Prevention Services - property owners seeking to prevent ant invasions before they occur may consider proactive pest management options.
  • Ants Inspection Services - those suspecting an ant problem but unsure of the extent can contact local pros for thorough inspections.
  • Ants Emergency Removal Services - in cases of sudden or severe ant outbreaks disrupting daily activities, immediate extermination services are available.
  • Ants Long-term Control Services - clients aiming to establish lasting ant control strategies often work with local pest management providers.

Get Ants Extermination Service Quotes

Ants Extermination Service
Ants Extermination Service
Ants Extermination Service

Ants extermination services involve identifying and eliminating ant infestations within residential, commercial, or industrial properties. These services typically include thorough inspections to locate ant colonies and entry points, followed by targeted treatments using specialized products to eradicate existing colonies. The process may also involve implementing preventative measures to reduce the likelihood of future invasions, such as sealing entry points and advising on sanitation practices. The goal is to remove ants efficiently while minimizing disruption to the property and its occupants.

Ant infestations can cause various problems for property owners, including damage to structures, contamination of food supplies, and general nuisance. Certain species of ants, like carpenter ants, are known for causing structural damage by tunneling through wood, which can compromise the integrity of buildings. Additionally, ants can contaminate food items and surfaces, posing health risks in homes and food establishments. Exterminating ants helps address these issues by removing colonies and preventing further spread, thereby maintaining a cleaner and safer environment.

Properties that commonly utilize ant extermination services include single-family homes, apartment complexes, restaurants, and retail stores. Residential properties often seek treatment to protect food supplies and prevent damage to wooden structures. Commercial spaces, especially those involved in food preparation or storage, require regular pest management to uphold hygiene standards and comply with health regulations. Additionally, property managers and business owners in areas with high ant activity may opt for ongoing pest control plans to keep infestations under control and ensure the comfort and safety of occupants and customers.

Professional ant extermination services are essential for effectively managing ant problems that persist despite basic cleaning or DIY efforts. Local service providers typically offer customized solutions based on the specific type of ant and the severity of the infestation. These experts are experienced in applying appropriate treatments and recommending preventative strategies tailored to the property's environment. Contacting a local pest control professional can help property owners address ant issues promptly and maintain a pest-free space.

The overview below groups typical Ants Extermination Service projects into broad ranges so you can see how smaller, mid-sized, and larger jobs often compare in Duncanville, TX.

In many markets, a large share of routine jobs stays in the lower and middle ranges, while only a smaller percentage of projects moves into the highest bands when the work is more complex or site conditions are harder than average.

Initial Inspection - The cost for a comprehensive ant inspection typically ranges from $50 to $150, depending on the property size and extent of infestation. This fee often includes identifying ant species and pinpointing entry points.

Basic Treatment - Standard ant extermination services usually cost between $100 and $300 for a single treatment. Larger homes or severe infestations may increase the price toward the higher end of this range.

Multiple Treatments - For ongoing or repeated treatments, costs can range from $200 to $500, especially in cases requiring multiple visits or extensive application of ant control products.

Preventive Services - Preventive ant control measures generally cost between $150 and $400, focusing on barrier treatments to reduce future ant activity around the property.

Actual totals will depend on details like access to the work area, the scope of the project, and the materials selected, so use these as general starting points rather than exact figures.

Get an Ants Extermination Service Quote

Ants Extermination - Local pest control providers offer targeted solutions to eliminate ant colonies and prevent future infestations in residential and commercial properties.

Ants Prevention - Service professionals can identify entry points and implement barrier methods to help keep ants from invading indoor spaces.

Ants Inspection - Experts conduct thorough inspections to locate ant nests and determine the extent of an infestation for effective treatment planning.

Ants Treatment - Local pros apply specialized treatments designed to eradicate different species of ants and ensure long-lasting results.

Ants Barrier Services - Professionals install physical and chemical barriers around properties to reduce the likelihood of ant re-entry.

Ants Removal Consultation - Service providers offer advice and tailored strategies to address ant problems specific to Duncanville, TX and nearby areas.

Ants Extermination Service

When choosing a professional for ant extermination services, it is important to consider their experience in handling pest issues similar to those faced by homeowners in Duncanville, TX and surrounding areas. Experienced providers typically have a history of managing ant infestations effectively, which can be an indicator of their familiarity with local ant species and common challenges. Homeowners should look for local service providers who clearly outline their expertise and areas of focus, ensuring they have relevant background in pest control services specific to the region.

Clear communication and written expectations are vital when working with a pest control professional. Reputable providers often provide detailed service descriptions, outlining what homeowners can expect during the treatment process, including preparation steps and post-treatment care. Transparent communication helps set realistic expectations and ensures that homeowners are informed about the scope of work, procedures, and any follow-up needed, fostering a smoother service experience.

Reputable references and local reputation are key factors to consider when evaluating pest control providers. Homeowners can seek out local pros with positive references from previous clients in the area, which can often be verified through online reviews or direct recommendations. Additionally, the ability to easily contact and communicate with the service provider is essential for addressing questions, scheduling appointments, and receiving updates. It is important to note that this platform introduces local options and is not a contractor or service provider itself, but a resource to connect homeowners with qualified local professionals.

Get an Ants Extermination Service Quote

Property owners in Duncanville, TX use Ants Extermination Service services for practical projects around their homes and businesses. The sections below highlight everyday jobs and straightforward project options.

Ants Extermination Service
Ants Extermination Service

Ants extermination services are often sought by property owners in Duncanville, TX when they notice ant activity around their homes or businesses. Common situations include discovering ants in kitchens, bathrooms, or along entry points, which can indicate an infestation that needs professional attention. Local service providers can assess the extent of the problem and implement targeted solutions to eliminate ants and prevent future issues, helping property owners maintain a clean and pest-free environment.

In addition to visible ant trails, property owners may look for extermination services after experiencing recurring ant problems despite previous efforts. This can happen in both residential and commercial settings, especially during warmer months when ants are more active. Local pros can provide tailored treatments to address specific ant species and conditions, offering a reliable way to manage and resolve infestations effectively.

Get an Ants Extermination Service Quote

How do ant extermination services work? Ant extermination services typically involve inspecting the property to identify ant colonies, applying targeted treatments to eliminate existing ants, and implementing measures to prevent future infestations. Local service providers tailor their approach based on the specific ant species and infestation severity.

Are ant extermination treatments safe for pets and children? Most ant extermination treatments used by professionals are designed to be safe when applied properly. It is recommended to discuss any concerns with the local service provider before treatment to ensure safety for pets and children.

How long does an ant extermination treatment last? The effectiveness duration of an ant extermination treatment can vary depending on the method used and the level of infestation. Local pros can provide guidance on follow-up treatments or preventative measures.

Can ant extermination services be performed indoors and outdoors? Yes, many ant extermination services include treatments for both indoor and outdoor areas to effectively address ant activity around the property and prevent re-entry.

What should I do before a pest control appointment? It is advisable to clear the area of clutter and food items, and to follow any specific instructions provided by the service provider to ensure the treatment's effectiveness and safety.

Ants Pest Control Solutions - Local service providers offer targeted treatments to eliminate ant infestations and prevent future outbreaks.

Inspection and Identification Services - Pros can assess property conditions to identify ant entry points and nesting areas for effective removal strategies.

Preventive Barrier Treatments - Experts apply barrier solutions around structures to deter ants from entering living or working spaces.

Ongoing Monitoring and Maintenance - Service providers can establish regular inspections to ensure ant problems are kept under control over time.

Ants Extermination Service

Considering Ants Extermination Service for a property in Duncanville, TX? The sections above highlight common project types, practical options, and details that often shape the scope of work.

When you are ready, use the quote form to share a few details about your project. Local pros can review the basics and respond with options that match what you have in mind.

Get an Ants Extermination Service Quote

Ants Extermination Quotes

Our Trusted Partners
Cantu Pest Control
Orkin
Hawx Pest Control