Local Service Overview

Get Red Ant Extermination in Colleyville, TX

Red Ant Extermination services for property owners in Colleyville, TX, and nearby areas address pest infestations such as ants, termites, roaches, and rodents through targeted eradication and prevention projects.

Colleyville, TX

Red ant extermination services are essential for property owners in Colleyville, TX seeking to protect their homes and outdoor spaces from invasive pests. Effective removal and prevention help maintain a comfortable living environment by reducing the presence of unwanted insects that can cause discomfort or damage. Additionally, professional extermination contributes to safety by minimizing the risk of ant-related issues, such as contamination of food or potential bites, ensuring the property remains a secure and inviting place for residents and visitors alike.

Choosing expert ant control solutions offers several practical benefits, including enhanced property functionality and curb appeal. Proper pest management can reduce ongoing maintenance needs by preventing ant infestations from causing structural damage or creating unsightly nests. This proactive approach supports the durability of the property’s exterior and landscape, helping to preserve its aesthetic appeal while providing peace of mind through effective, long-lasting results.

Get Red Ant Extermination Quotes

  • Red ant extermination services are needed when these pests invade residential or commercial properties in Colleyville, TX and surrounding areas.
  • Professional exterminators can address infestations that threaten gardens, lawns, or outdoor spaces in nearby communities.
  • Individuals experiencing persistent ant activity inside homes or buildings may seek specialized red ant removal solutions.
  • Extermination services are appropriate for properties that have experienced recurring or severe red ant colonies.
  • Consulting local pest control providers can help manage red ant problems in neighborhoods across the region.

Get Red Ant Extermination Quotes

Red Ant Extermination
Red Ant Extermination
Red Ant Extermination

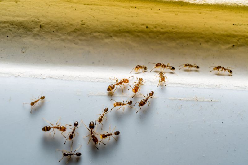
Red ant extermination services focus on identifying and eliminating red ant colonies that have invaded residential or commercial properties. Professionals typically conduct thorough inspections to locate active nests and assess the extent of the infestation. Treatment methods often involve the application of targeted insecticides and baiting systems designed to eliminate both visible ants and their underground colonies. These services aim to reduce ant populations effectively, preventing future invasions and minimizing the disturbance caused by these pests.

Red ants can cause significant problems for property owners, including structural damage, especially if they establish nests within walls or foundations. Additionally, their presence can lead to unsanitary conditions and pose health risks due to potential allergic reactions or bites. Infestations are often characterized by large, aggressive colonies that can quickly spread across a property, making early intervention important. Professional extermination services help address these issues by providing comprehensive treatment plans tailored to the severity and location of the infestation.

Properties that commonly utilize red ant extermination services include single-family homes, apartment complexes, and commercial buildings such as restaurants and retail stores. Homes in areas with high outdoor activity or proximity to natural habitats tend to be more vulnerable to red ant invasions. Commercial properties, especially those involved in food service or retail, seek pest control solutions to maintain hygiene standards and ensure a pest-free environment for customers and staff. In all cases, professional services are chosen to ensure safe and effective removal of red ants from the premises.

Engaging with local pest control providers for red ant extermination offers property owners access to experienced professionals who understand the specific behaviors and habitats of these pests. These experts utilize proven methods to target nests and reduce ant populations efficiently. Property owners are encouraged to contact local service providers to discuss their needs and explore treatment options tailored to their property type and infestation level. Proper intervention can help restore comfort and safety by effectively managing red ant problems.

The overview below groups typical Red Ant Extermination projects into broad ranges so you can see how smaller, mid-sized, and larger jobs often compare in Colleyville, TX.

In many markets, a large share of routine jobs stays in the lower and middle ranges, while only a smaller percentage of projects moves into the highest bands when the work is more complex or site conditions are harder than average.

Initial Inspection and Treatment - Cost typically ranges from $150 to $300 for an initial inspection and treatment plan. Prices may vary depending on property size and pest severity. Local pros can provide detailed estimates based on specific needs.

Per-Visit Service - A single treatment visit often costs between $100 and $250. The price depends on the extent of infestation and the type of pests targeted. Ongoing treatments might be priced differently.

Monthly or Quarterly Contracts - Regular pest control services generally range from $40 to $70 per month. Contract length and property size influence the overall cost and frequency of visits.

Specialized Treatments - Extermination for specific pests like termites or bed bugs can cost from $500 to over $2,000. These prices depend on the infestation level and treatment complexity.

Actual totals will depend on details like access to the work area, the scope of the project, and the materials selected, so use these as general starting points rather than exact figures.

Get a Red Ant Extermination Quote

Ant Extermination - Local pest control providers offer ant extermination services to eliminate infestations and prevent future colonies from forming.

Carpenter Ant Removal - Specialists in carpenter ant removal focus on identifying and eradicating these pests that can cause structural damage to buildings.

Fire Ant Control - Fire ant control services aim to reduce populations and manage bites, especially in outdoor areas like lawns and gardens.

Pavement Ant Treatments - Service providers use targeted treatments to address pavement ant issues that can invade homes and commercial properties.

Sugar Ant Management - Local pros assist in managing sugar ant problems by eliminating food sources and nesting sites around properties.

Odorous House Ant Removal - Experts provide removal solutions for odorous house ants that can invade kitchens and living spaces, ensuring a pest-free environment.

Red Ant Extermination

When comparing Red Ant Extermination services, it’s important to consider the experience of local contractors. Homeowners should look for providers with a proven track record in pest control, especially in handling ant infestations similar to those in Colleyville, TX. Experienced pros are more likely to understand the specific behaviors of red ants and employ methods that are both effective and appropriate for residential settings. Gathering information about how long a contractor has been serving the community can help in assessing their familiarity with local conditions and common pest issues.

Clear communication of written expectations is essential when selecting a pest control provider. Reputable local pros typically offer detailed service descriptions, outlining what homeowners can anticipate during and after treatment. This transparency helps manage expectations and ensures that both parties are aligned on the scope of work, procedures, and any follow-up requirements. Homeowners should seek providers who are willing to provide comprehensive information and answer questions thoroughly, fostering a better understanding of the process.

Reputation and references from previous clients are valuable indicators of a contractor’s reliability. Homeowners are encouraged to seek out local pros with established positive references within the community. Reputable providers often have a history of consistent service quality, which can be verified through references or reviews. Additionally, good communication practices-such as prompt responses and clarity-are signs of a professional approach. While the site introduces local options, it’s recommended to contact multiple providers to compare their experience, expectations, and reputation before making a selection.

Get a Red Ant Extermination Quote

Property owners in Colleyville, TX use Red Ant Extermination services for practical projects around their homes and businesses. The sections below highlight everyday jobs and straightforward project options.

Red Ant Extermination
Red Ant Extermination

Red ant extermination services are commonly sought by property owners in Colleyville, TX, dealing with persistent ant invasions. These insects can quickly become a nuisance, especially around foundations, gardens, and outdoor living areas. Local service providers offer targeted solutions to eliminate ant colonies and prevent future outbreaks, helping homeowners maintain a comfortable and pest-free environment.

Property owners may also look for ant extermination when noticing signs of infestation, such as ant trails or damage to plants and structures. Professional exterminators can identify the source of the problem and apply effective treatments to address the issue safely. Connecting with experienced local providers ensures that ant problems are handled efficiently, supporting the upkeep of residential and commercial properties in the area.

Get a Red Ant Extermination Quote

How do I know if I have a red ant infestation? Signs of red ant infestation include visible trails, ants entering your home, and small mounds of soil around the foundation. Contact local pest control professionals for an inspection if these signs are present.

Are red ant extermination services safe for pets and children? Most pest control treatments used by local service providers are designed to be safe when applied properly. It is recommended to discuss safety concerns with your chosen professional before treatment.

How long does red ant extermination typically take? The duration of treatment varies depending on the extent of the infestation and the methods used. A local pest control expert can provide an estimate after an inspection.

Will I need multiple treatments to eliminate red ants? In some cases, multiple treatments may be necessary to fully eradicate red ant colonies. A local service provider can advise on the best approach based on the situation.

What steps can I take to prevent red ant infestations? Keeping your property clean, sealing entry points, and removing food sources can help prevent red ant problems. Consulting with local pest control professionals can offer additional prevention tips.

Red Ant Extermination Services - Local pest control professionals offer targeted treatments to eliminate red ants and prevent future infestations.

Red Ant Identification and Inspection - Experts can identify red ant colonies and assess the extent of the infestation to determine the most effective removal strategy.

Red Ant Control Solutions - Service providers utilize a range of methods, including baits and barriers, to effectively control and eradicate red ant populations.

Red Ant Prevention Tips - Local pros can provide advice on reducing attractants and sealing entry points to help prevent red ant re-infestations.

Red Ant Extermination

Considering Red Ant Extermination for a property in Colleyville, TX? The sections above highlight common project types, practical options, and details that often shape the scope of work.

When you are ready, use the quote form to share a few details about your project. Local pros can review the basics and respond with options that match what you have in mind.

Get a Red Ant Extermination Quote

Red Ant Extermination Quotes

Our Trusted Partners
Cantu Pest Control
Orkin
Hawx Pest Control