Local Service Overview

Get Black Ant Extermination in Mansfield, TX

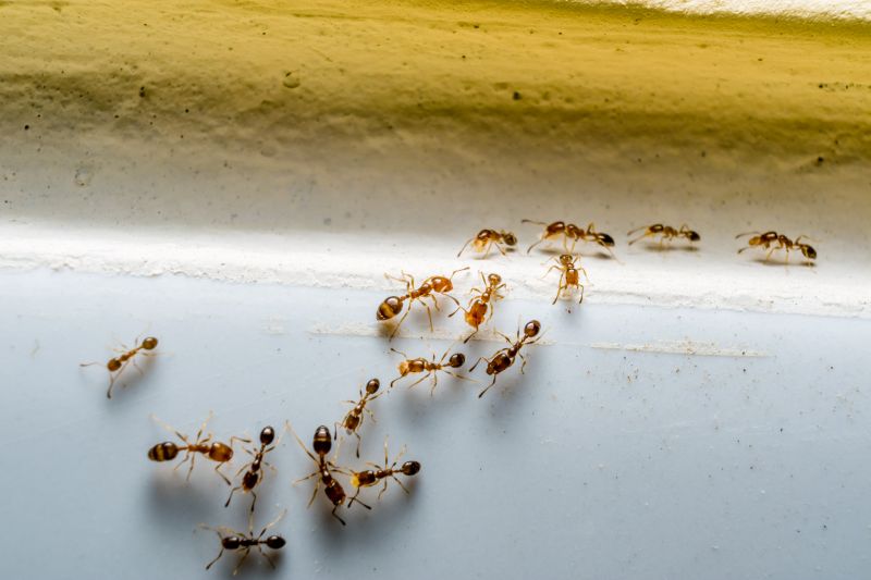
Black Ant Extermination services for Mansfield, TX, and nearby areas typically address ant infestations, prevent future invasions, and eliminate nests in residential and commercial properties.

Mansfield, TX

Black ant extermination services are a practical solution for property owners in Mansfield, TX seeking to maintain a comfortable and safe living environment. These services help prevent ant invasions that can disrupt daily routines, damage property structures, or contaminate food supplies. By addressing ant issues promptly, homeowners can enjoy a more functional space with reduced concerns about pests, allowing for greater peace of mind and a more enjoyable home atmosphere.

Choosing professional ant extermination also offers benefits related to durability and curb appeal. Effective pest control can minimize future infestations, reducing ongoing maintenance needs and protecting the property's exterior and interior from damage. Additionally, a pest-free home enhances the overall appearance of the property, contributing to a well-maintained and inviting exterior that boosts curb appeal and long-term value.

Get Black Ant Extermination Quotes

  • Ant Extermination - needed when black ants invade kitchens, pantries, or indoor living spaces in Mansfield, TX and surrounding areas.
  • Outdoor Ant Control - required when black ants establish colonies around yards, gardens, or outdoor structures near nearby communities.
  • Persistent Ant Infestation Removal - sought when black ants repeatedly return despite initial treatments in residential or commercial properties.
  • Preventive Ant Treatments - used to protect properties from future black ant invasions in neighborhoods close to wooded or grassy areas.
  • Emergency Ant Extermination - necessary when black ant swarms suddenly appear in homes or businesses, causing an urgent pest issue.

Get Black Ant Extermination Quotes

Black Ant Extermination
Black Ant Extermination
Black Ant Extermination

Black ant extermination services focus on identifying and eliminating ant infestations that can invade residential, commercial, or industrial properties. These services typically involve thorough inspections to locate ant colonies and entry points, followed by targeted treatment applications to eradicate the pests. Service providers may use a combination of baiting systems, residual insecticides, and barrier treatments to ensure comprehensive control. The goal is to reduce or eliminate ant populations, preventing future invasions and minimizing the risk of property damage or contamination.

Ant problems can lead to various issues for property owners. Besides the nuisance of constant ant activity, some species may pose health concerns or cause structural damage by nesting in walls, foundations, or insulation. Food contamination is another common problem, especially in kitchens and storage areas, as ants are known to forage for food and leave behind unsanitary trails. Effective extermination services help address these issues by removing existing colonies and implementing preventive measures to deter future ant activity.

Property types that frequently utilize black ant extermination services include single-family homes, apartment complexes, restaurants, warehouses, and retail stores. Residential properties often seek assistance to manage ant invasions that threaten food safety and comfort. Commercial establishments, particularly those involved in food preparation or storage, prioritize pest control to maintain hygiene standards and comply with health regulations. Additionally, industrial facilities may require ongoing pest management to protect inventory and infrastructure from ant-related damage.

Professional extermination services for black ants typically involve customized treatment plans tailored to the severity of the infestation and the specific property layout. Service providers may recommend ongoing monitoring and maintenance to ensure long-term control. By working with local pest control specialists, property owners can address ant issues effectively and prevent recurring problems. Contacting experienced professionals ensures that the infestation is managed safely and efficiently, helping to restore a pest-free environment.

The overview below groups typical Black Ant Extermination projects into broad ranges so you can see how smaller, mid-sized, and larger jobs often compare in Mansfield, TX.

In many markets, a large share of routine jobs stays in the lower and middle ranges, while only a smaller percentage of projects moves into the highest bands when the work is more complex or site conditions are harder than average.

Initial Treatment Cost - The cost for a one-time black ant extermination service typically ranges from $150 to $300, depending on the size of the affected area. Larger properties or severe infestations may cost more, sometimes exceeding $400. Local pros can provide specific estimates based on individual circumstances.

Ongoing Maintenance Costs - For ongoing ant control, monthly service plans generally cost between $50 and $100 per visit. These plans often include regular inspections and treatments to prevent future infestations. Costs vary based on property size and treatment frequency.

Per-Visit Service Fees - Many service providers charge per visit, with prices usually falling between $100 and $250. The number of visits needed depends on the severity of the infestation and the treatment method used. Some providers offer package deals for multiple visits.

Additional Treatment Expenses - Extra costs may apply for specialized treatments, such as bait stations or barrier treatments, which can add $50 to $150 to the overall cost. These options are recommended for persistent or hard-to-reach ant colonies. Local pros can advise on the most effective treatment options for specific situations.

Actual totals will depend on details like access to the work area, the scope of the project, and the materials selected, so use these as general starting points rather than exact figures.

Get a Black Ant Extermination Quote

Black Ant Extermination services involve professionals who specialize in identifying and eliminating black ant infestations in residential and commercial properties. Local providers use targeted methods to control and prevent ant colonies effectively.

Black Ant Extermination contractors offer inspection and treatment options tailored to the severity of the infestation, ensuring a thorough approach to pest management. They help restore pest-free environments through customized solutions.

Black Ant Extermination specialists utilize various techniques, including baiting and barrier treatments, to address black ant problems while minimizing disruption to the property. Local experts focus on long-term prevention strategies.

Black Ant Extermination providers are experienced in handling infestations in different settings, from homes to businesses, ensuring that the specific needs of each property are met. Their services aim to reduce ant activity efficiently.

Black Ant Extermination companies often offer ongoing monitoring and maintenance plans to prevent future ant invasions. Contacting local pros can help establish effective pest control routines.

Black Ant Extermination services are essential for addressing persistent ant issues that can affect comfort and hygiene. Local professionals deliver tailored pest management solutions to suit individual property requirements.

Black Ant Extermination

When evaluating local pros for Black Ant Extermination services, experience is an important factor to consider. Homeowners should look for providers with a proven track record in pest control, specifically in managing ant infestations similar to their situation. Reputable service providers often have a history of successful treatments and can offer insights into effective strategies based on their years of practice. It’s helpful to review any written expectations provided by the pros, such as the scope of work, methods used, and post-treatment care, to ensure clarity and alignment with homeowner needs.

References and reputation are also key indicators of a reliable extermination service. Homeowners are encouraged to seek out local pros with positive references from previous clients, which can often be verified through online reviews or direct testimonials. A reputable provider will typically have a network of satisfied customers and can provide references upon request. This helps to establish trust and confidence in the quality of the service, especially when it comes to handling specific pest issues like black ants.

Effective communication is essential when working with local pest control providers. Homeowners should look for pros who are transparent about their processes, responsive to questions, and clear about what to expect during and after treatment. Good communication ensures that homeowners are well-informed and comfortable with the service plan. Since the site introduces local options rather than acting as the contractor, it’s important for homeowners to contact the individual service providers directly to discuss their specific needs and confirm details before proceeding.

Get a Black Ant Extermination Quote

Property owners in Mansfield, TX use Black Ant Extermination services for practical projects around their homes and businesses. The sections below highlight everyday jobs and straightforward project options.

Black Ant Extermination
Black Ant Extermination

Black ant extermination services are commonly sought by property owners in Mansfield, TX, who notice persistent ant activity around their homes or businesses. These insects can invade kitchens, bathrooms, and other areas, creating nuisances and potential health concerns. Local service providers are often contacted to assess the situation, identify the ant species, and implement effective treatment plans to eliminate the colonies and prevent future infestations.

Homeowners and business owners may also turn to local exterminators when ant problems become recurring or difficult to manage with DIY methods. Factors such as increased ant activity during warmer months or the discovery of large ant mounds in yards can prompt property owners to seek professional assistance. Local pros can provide targeted solutions to address these issues and help maintain a pest-free environment.

Get a Black Ant Extermination Quote

Why are black ants attracted to my home? Black ants are drawn to food sources, water, and shelter inside or near your property, leading them indoors in search of these essentials.

How can I prevent black ant infestations? Keeping your home clean, sealing entry points, and removing food and water sources can help reduce the likelihood of black ant invasions.

When should I consider professional black ant extermination? If black ants become a persistent problem despite basic cleaning and sealing efforts, contacting local pest control providers is recommended.

Are black ants dangerous or harmful? Black ants are generally not harmful to humans but can cause nuisance and potential contamination of food supplies.

What methods do pest control pros use to eliminate black ants? Local service providers may use baiting, targeted treatments, or other integrated pest management techniques to effectively control black ant populations.

Black Ant Extermination Solutions - Local service providers offer targeted treatments to eliminate black ants and prevent future infestations.

Inspection and Identification - Professionals can assess property conditions to identify ant entry points and nesting areas.

Customized Treatment Plans - Experts develop tailored approaches based on the extent of the ant problem and property layout.

Ongoing Monitoring and Prevention - Service providers can implement strategies to monitor ant activity and reduce the risk of recurrence.

Black Ant Extermination

Considering Black Ant Extermination for a property in Mansfield, TX? The sections above highlight common project types, practical options, and details that often shape the scope of work.

When you are ready, use the quote form to share a few details about your project. Local pros can review the basics and respond with options that match what you have in mind.

Get a Black Ant Extermination Quote

Black Ant Extermination Quotes

Our Trusted Partners
Cantu Pest Control
Orkin
Hawx Pest Control